Проблема, которую я никогда не решал
Мне хотелось попробовать силы в новом направлении благотворительности и так случилось, что я узнал о проблеме в Борцино, деревни в Конаковском муниципальном округе Тверской области. Проблема заключалась в том, что деревне не было детских площадок (в советское время площадка была, как и деревенский дом культуры – но давно закрыты, а находившийся под детской площадкой земельный участок давно продан и застроен), и многочисленным (около 20-30) детям практически негде было проводить время, кроме как играя с валявшимся по всей деревне вдоль дороги мусором.
Я никогда не занимался установкой детских площадок, и сомнений было очень много – а точно ли то, что я сделаю, принесет пользу и будет хоть как-то востребовано, получится ли у меня реализовать проект, а не возникнет ли проблем при вводе в эксплуатацию и множество других. К счастью, у моего приятеля Влада, обладавшего опытом взаимодействия с чиновниками разных уровней, оказалось достаточно времени и желания, и он возглавил проект. Ниже подробная история от лица Влада.
Вводные данные для проекта
Все исходные данные состояли в названии населенного пункта и контакте местной жительницы Татьяны, которая и сообщила об имеющейся проблеме. Найти место для площадки, выбрать определенную площадку у конкретного производителя, согласовать ее размещение с чиновниками, провести заказ и установку – все предстояло сделать самому. Для меня это был новый опыт, хотя определенные практические навыки того, где искать нужную информацию и какие чиновники отвечают за согласование подобных работ, а также какими методами можно легально добиться своего в диалоге с ними, у меня к тому времени уже были.
Выбор участка
Самым простым оказался выбор участка для размещения площадки – просто потому, что других свободных в деревне и не было. Я внимательно изучил Публичную кадастровую карту, которая тогда находилась на сайте Росреестра pkk.rosreestr.ru, а в 2025 году переехала на сайт Национальной системы пространственных данных nspd.gov.ru (карта эта, увы, обычно очень плохо загружается из-за огромного количества данных), и сравнил со спутниковыми фотографиями на Яндекс.Картах.
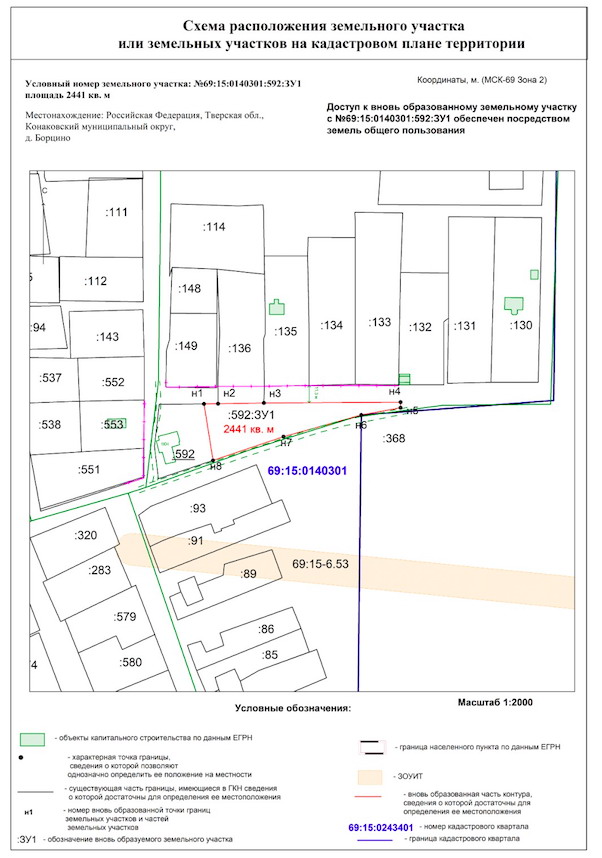
Единственный участок, не занятый жилыми домами, находился рядом с заброшенным деревенским домом культуры, рядом с которым, как я узнал позже от местных жителей, раньше находилась и детская площадка (только она была немного западнее, где участки потом продали под частную застройку – на Публичной кадастровой карте они обозначены цифрами 551 и 553).

По своим размерам (в самом длинном месте до 78 м и в самом широком месте до 30 м) участок вполне позволял разместить и детскую площадку, и дополнительные объекты, и при этом выполнить требования законодательства, предусматривающего расстояния как минимум 10 метров до жилых домов и проезжей части дорог.

При взгляде на Публичную кадастровую карту кажется, что были и другие пустые ничейные участки, например, юго-восточнее выбранного мною. Но там находились густые заросли кустов и деревьев, через которые от дороги было невозможно пробраться (это хорошо видно на большом видео, опубликованном в разделе о вывозе мусора).
Выбор и заказ площадки
Далее был выбор детской площадки (на самом деле он шел параллельно с перепиской с администрацией и проверкой статуса участка, но для удобства разобьем все на блоки).
Детские площадки в России производит много компаний. И для начала я изучил все их предложения, дабы сформировать представление в целом о том, что есть на рынке. Шоурумов у компаний, производящих детские площадки, даже в Москве нет (да и офисы находятся обычно в Московской области, поближе к производству и складам), но я постарался найти и изучить те площадки, которые установлены на улицах.
Гораздо более дорогие площадки, устанавливаемые властями во дворах жилых домов в районах Москвы, имеют заметные проблемы с потенциальной травматичностью. Вот, например, сфотографированная мною в одном из спальных районов столицы площадка.

Судя по всему, это игровой комплекс Quantum «Госфорд» от производителя «Хоббика», который на сентябрь 2025 года стоил 4 млн 984,8 тыс руб (стоимость доставки и установки на сайте «Хоббики» не указаны, но обычно, исходя из стоимости самого комплекса, это стоит не меньше несколько сотен тысяч рублей).
При этом у этого довольно дорогого (хотя многие площадки во дворах жилых домов в Москве и в разы дороже) игрового комплекса ребристые шляпки болтов высоко выступают над досками, создавая угрозу травмирования детей.

На этом этапе у меня уже сформировалось представление о том, что у детских площадок не должно быть выступающих над поверхностью деревянных частей болтов и острых краев досок. Должен быть минимум железных деталей (некоторые производители делают почти целиком железные горки), потому что об их края тоже можно травмироваться, а на холоде к ним можно примерзнуть.
При оценке производителей я проверял через открытых базы данных их участие в госзакупках. Если такое есть – качество площадок более-менее проверено, для тендера надо представить немало документов, к тому же в этих же базах фиксируются судебные иски в случае наличия претензий по качеству продукции.
Далее я отсеял тех производителей, кто не делают собственную доставку и сборку в Тверскую область. Далее начал уже списываться с менеджерами компаний.
Тут уже я узнал в процессе работы, что существует два основных типа детских горок – добровольного сертифицирования (считай – отсутствия сертификата) и сертифицированных по ГОСТ. Для общественных мест подходят только вторые, первые можно ставить только на частных участках. При этом, разумеется, выбор сертифицированных по ГОСТ детских площадок гораздо меньше, некоторые производители (например, дкРОСТ) вообще таких не выпускают. У других производителей (например, у IgraGrad) на сайте площадок для общественных мест нет, надо запрашивать у менеджера специальное предложение в отдельном файле.

В итоге, я остановился на площадке «Шато Домик» от IgraGrad. Плюсы, изложенные на сайте производителя и проверенные мною при монтаже площадки (на фото).
Шляпки болтов глубоко утоплены в доски, чтобы никто не поцарапался:

Все края досок закруглены, чтобы никто не поцарапался:

На ступенях лестницы глубокое рифление, чтобы никто не поскользнулся:

Все саморезы оцинкованные, что защищает от ржавчины:

Кроме того, на доски нанесено покрытие, защищающее древесину от гниения.
Еще один плюс – адекватная цена. На момент заказа в марте 2025 года детская площадка «Шато Домик» стоила 270,5 тыс руб, качельные модули с 1 большим или 2 маленькими сиденьями – по 136,5 тыс руб. Доставка и монтаж – 95,5 тыс руб. Итого 639 тыс руб.


Кроме того, я настоял на том, чтобы мне дали 3% скидку, обещанную на сайте компании за обращение через специальную форму, благодаря чему стоимость двухэтажной горки и 2 качельных модулей с доставкой и монтажом снизилась до 624 тыс. руб.
Согласования площадки с чиновниками
Первым делом нужно было выяснить, в чьей компетенции находится согласование установки детской площадки. И тут оказалось, что мы попали в самый неудачный момент. Как говорится в приписываемом (скорее всего неверно) Конфуцию изречению, не дай вам Бог жить в эпоху перемен. Дело в том, что в ходе муниципальной реформы полномочия по благоустройству в этот момент уже отняли у расформированного Городенского сельского поселения (в которое входила деревня Борцино), но еще не передали в формирующийся Конаковский муниципальный округ.
Небольшая предыстория. Законом Тверской области №17-ЗО от 4 мая 2023 года «О преобразовании муниципальных образований, входящих в состав территории муниципального образования Тверской области Конаковский муниципальный район, путем объединения поселений и создании вновь образованного муниципального образования с наделением его статусом муниципального округа и внесении изменений в отдельные законы Тверской области» Конаковский район был преобразован в Конаковский муниципальный округ.
Хотя закон в целом вступил в силу 14 мая 2023 года, но часть его пунктов – только с 14 июня 2023 года, а в целом преобразование района в муниципальный округ затянулось надолго. Должность главы Конаковского района еще полгода занимал Олег Лобановский, пока решение о досрочном прекращении его полномочий не приняло 28 сентября 2023 года Собрание депутатов Конаковского района, которое, в свою очередь, 5 октября 2023 года преобразовалось в Думу Конаковского муниципального округа, которая 26 октября 2023 года преобразовала и администрацию Конаковского района в администрацию Конаковского муниципального округа. Впрочем, главы у новой администрации не было еще месяц (а с учетом предыдущей отставки Лобановского – два), пока 22 ноября 2023 года Дума не назначила исполняющим обязанности, а 15 декабря 2023 года не утвердила на посту главы администрации Алексея Пляскина, вступившего в должность 28 декабря 2023 года, как раз перед новогодними праздниками.
При этом на местах старые муниципалитеты продолжали действовать до весны 2024 года. Муниципальное казенное учреждение (МКУ) «Городенский территориальный отдел Конаковского муниципального округа» было создано только 27 марта 2024 года (при этом далее его полномочия были урезаны – 26 августа 2024 года его преобразовали в МКУ «Центр по благоустройству Городенский Конаковского муниципального округа»), а Муниципальное учреждение «Администрация Городенского сельского поселения» существовало до 15 мая 2024 года.
И вот как раз в это время я приступаю к работе. Нашел на сайте Городенского сельского поселения городской телефон, дозвонился 7 марта 2024 года главе Городенского сельского поселения Екатерине Корневой, которая отвечает, что все полномочия от поселения уже переданы в округ. Я звоню 11 марта 2024 года главе Думы Конаковского муниципального округа Дмитрию Щурину, который отвечает, что полномочия еще находятся в процессе передачи, в округе отсутствует лицензированная организация для обслуживания детских площадок, да и в целом все решает только глава администрации округа. Поэтому 11 марта 2024 года я пишу официальное письмо на электронную почту главы администрации округа (других способов связи с ним пока нет).

10 апреля 2024 года (как раз, чтобы уложиться в отведенные ст. 12 Федерального закона №59-ФЗ от 2 мая 2006 года «О порядке рассмотрения обращений граждан Российской Федерации» сроки ответа гражданам «в течение 30 дней») мне приходит письменный ответ от заместителя главы администрации Конаковского муниципального округа Натальи Малаховой о том, что по данному поводу ими «направлен запрос в МКУ «Городенский территориальный отдел Конаковского муниципального округа» для принятия мер в пределах компетенции».

Отдельно мне еще в тот же день позвонили из администрации Конаковского муниципального округа и сказали, что заниматься установкой площадки должна Екатерина Корнева уже как глава Городенского территориального отдела.
Началось долгое убеждение главы Городенского территориального отдела, которая редко брала трубку, так что мне целыми днями и неделями приходилось буквально «висеть на телефоне», чтобы до нее дозвониться. Тем более, как пояснила мне при одном из созвонов Корнева, если в 2023-м она как глава Городенского сельского поселения легко согласовала бы установку площадки (правда в 2024-м, по ее словам, была бы немалая вероятность, что площадку при передаче полномочий округу просто снесли бы как самострой), то теперь уже мало что от нее зависело и она могла лишь обращаться в Конаково. Но в итоге 11 июня 2024 года она одобрила полученное от меня предложение, к которому были приложены обращение по поводу необходимости размещение площадки и сертификаты от производителя, и переслала его в администрацию округа. 17 июня 2024 года вышла из отпуска глава комитета по управлению имуществом и земельным отношениям администрации Конаковского муниципального округа Татьяна Веряскина и 18 июня 2024 года на заседании в Конаково ей передали наше обращение.
Одновременно 20 июня 2024 года было подано письменное обращение к главе администрации Конаковского муниципального округа от меня и местных жителей, ответ на который пришел 22 июля 2024 года (тут даже в срок 30 дней не уложились) от первого заместителя заместителя главы администрации Конаковского муниципального округа Виктора Садчикова с прежними по сути формулировками: «Комитетом по управлению имуществом и земельным отношениям администрации Конаковского муниципального округа в МКУ «Городенский теротдел» направлен запрос с целью предоставления информации о технической возможности установки детской площадки и мусорных контейнеров по указанному выше адресу».

Стало ясно, что администрация Конаковского муниципального округа просто раз за разом «отфутболивает» (есть даже такой термин) наши обращения, не отвечая по существу. Я обдумал несколько вариантов дальнейших действий для донесения нашей позиции до администрации округа, включавших как сбор подписей жителей Борцино, так и публичные выступления в Конаково представителей парламентских политических партий и ветеранских организаций (и даже провел предварительную работу в каждом из этих направлений, так что можно было переходить уже к практической реализации), но в итоге решил использовать наиболее эффективный способ – официальный запрос в администрацию губернатора Тверской области от депутата Государственной Думы Российской Федерации, к которым в регионах до сих пор относятся с уважением.
Я проверил список подходящих депутатов Государственной Думы, исходя из подходящих мне избирательных округов (депутаты связаны лишь с определенными регионами, если только не избираются от федерального округа) и постов в комитетах, и направил 22 июля 2024 года через официальную интернет-приемную Государственной Думы priemnaya.duma.gov.ru обращение к заместителю председателя комитета по физической культуре и спорту Амиру Хамитову, продублировав его на электронную почту приемной депутата. 23 июля 2024 года обращение было зарегистрировано администрацией интернет-приемной и получило входящий номер.

И уже 24 июля 2024 года мне на электронную почту пришел официальный ответ из приемной депутата Амира Хамитова о том, что мое «обращение… внимательно рассмотрено и направлен депутатский запрос губернатору Тверской области».

Теперь чиновники начали отвечать гораздо быстрее, и уже 5 августа мне лично позвонил глава администрации Конаковского муниципального округа Алексей Пляскин, сказавший, что не знал о ситуации с участком, а 6 августа 2024 года мне пришел на электронную почту официальный ответ с его подписью: «Администрация Конаковского муниципального округа на Ваше обращение от 19.06.2024 сообщает, что готова безвозмездно принять в муниципальную собственность указанную в Вашем обращении детскую площадку. В то же время просим учесть, что до настоящего времени рассматривались вопросы формирования земельного участка, определения балансодержателя, направлялись соответствующие запросы».

Судя по всему, в администрацию Конаковского муниципального округа пришел непосредственно запрос из министерства региональной политики Тверской области, так как 14 августа 2024 года мне пришел официальный ответ от министра региональной политики Тверской области Андрея Александрова, уведомлявший, что мое «обращение рассмотрено министерством региональной политики Тверской области».
Из дальнейшего ответа Александрова следовало, что глава администрации Конаковского муниципального округа проинформировал министерство региональной политики Тверской области о телефонном разговоре со мной: «По информации главы администрации Конаковского муниципального округа Алексея Пляскина муниципалитет заинтересован в установке на спонсорской основе элементов детской игровой площадки (двухуровневый деревянный домик + качельный модуль) и мусорных контейнеров в деревне Борцино. В настоящее время администрацией Конаковского муниципального округа проводятся подготовительные мероприятия. «Дорожная карта» установки детской площадки обсуждена с Вами лично главой по телефону».

16 августа 2024 года в Борцино я встретился с главой администрации Конаковского муниципального округа Алексеем Пляскиным, главой комитета по управлению имуществом и земельным отношениям администрации Конаковского муниципального округа Татьяной Веряскиной (на фото вторая справа) и бывшим главой Городенского сельского поселения, ныне главой МКУ «Городенский территориальный отдел Конаковского муниципального округа» Екатериной Корневой (на фото крайняя справа).

Было одобрено место размещения площадки и предварительно согласована дата установки – 9 мая 2025 года. Предстоял сложный процесс межевания участка.
Юридическое оформление и межевание участка (раздел закончен)
Еще в начале работы я посмотрел статус участка, благо, это легко сделать через Публичную кадастровую карту, которая тогда находилась на сайте Росреестра pkk.rosreestr.ru, а в 2025 году переехала на сайт Национальной системы пространственных данных nspd.gov.ru. Карта эта, увы, обычно очень плохо загружается.

Выяснилось, что интересующий нас участок юридически вообще никак не оформлен – у него нет границ, кадастрового номера, формы собственности, вида разрешенного использования (ВРИ).
В принципе, это обычная история для российской глубинки. В СССР вся земля была государственной, одним из первых распоряжений коммунистов был декрет Съезда Совета рабочих и солдатских депутатов от 26 октября (8 ноября) 1917 года «О земле», отменявший частную собственность на землю. Конституция СССР 1936 года («сталинская») признавала лишь «право личной собственности граждан… на жилые дома» (ст. 10), это оставила без изменений и Конституция 1977 года («брежневская»): «В личной собственности могут находиться предметы обихода, личного потребления, удобства и подсобного домашнего хозяйства, жилой дом и трудовые сбережения… В пользовании граждан могут находиться участки земли, предоставляемые в установленном законом порядке для ведения подсобного хозяйства (включая содержание скота и птицы), садоводства и огородничества, а также для индивидуального жилищного строительства» (ст. 13). Частная собственность на землю была восстановлена только за год до роспуска СССР законом Российской Советской Федеративной Социалистической Республики (РСФСР) №443-1 от 24 декабря 1990 года «О собственности в РСФСР». Соответственно, лишь после этого произошло межевание оформленных в частную собственность участков, получивших границы и кадастровые номера, но огромные площади земли так и остались никак не оформленными после развала колхозов.
Вот на Публичной кадастровой карте желтым выделен один из юридически оформленных в Борцино земельных участков в частной собственности с видом разрешенного использования (ВРИ) для ведения личного подсобного хозяйства.

Кстати, в той же Тверской области есть и никак юридически не оформленные частные участки, продавцы которых на Авито честно пишут, что никаких устанавливающих право собственности документов у них нет, просто их отцы и деды жили в этом доме с советских времен. Но такое обычно бывает в совсем дремучих деревнях, где мало кто живет и поэтому участки с домами не имеют реальной товарной ценности.
Но вернемся в Борцино. После визита 16 августа 2024 года главы администрации Конаковского муниципального округа Алексея Пляскина пришлось подождать пару недель, пока 30 августа 2024 года из отпуска не вышел, судя по всему, единственный (раз администрации округа надо было его ждать) кадастровый инженер единственной организации, с 2006 года предлагающей полный спектр кадастровых работ в Конаково – ООО «Горизонталь». И уже 6 сентября 2024 года кадастровый инженер Роман Плотников выехал в Борцино, куда я также прибыл к назначенному времени.

Строго говоря, название организации и фамилию кадастрового инженера я узнал уже позже и сам, изначально из администрации Конаковского муниципального округа мне прислали лишь дату и время выезда кадастрового инженера в Борцино.
Приехав на место в указанное время, я застал рядом с заброшенным домом культуры мужчину в высоких резиновых сапогах (несмотря на жару), который делал замеры с помощью тахеометра на высоком штативе и заносил данные в бумаги на фирменном планшете. Удивило меня то, что замеры он делал только по границам единого участка (который далее получил кадастровый номер 69:15:0140301:592), не замеряя границы деления его на два участка – с заброшенным домом культуры (за которым впоследствии при разделении и остался кадастровый номер 69:15:0140301:592) и детской площадкой (который далее при делении получил кадастровый номер 69:15:0140301:595).
Я подошел и сообщил ему об намеченных ранее при встрече с главой администрации Конаковского муниципального округа границах деления участка (автоматически отметив название его организации на планшете), он выслушал без особого интереса и продолжил работу. Спустя несколько минут кадастровый инженер подошел к своей припаркованной у дороги «Ниве» (неудивительный выбор внедорожника, так как даже в сухое время добраться в Борцино по разбитой грунтовке было нелегко – для наглядности выше приложу небольшое видео, снятое на дороге) и начал снимать резиновые сапоги (я подумал – наконец-то решил сменить обувь по погоде), а затем неожиданно для меня сел в машину и уехал, так и не замерив границу между двумя участками.
Хорошо, что тогда еще в Борцино ловил мобильный Интернет, так что я начал искать телефоны ООО «Горизонталь» и звонить по ним. На городском телефоне никто не брал трубку, а вот на мобильном, указанном в профиле организации на Яндекс.Картах, взяли и ответили. После этого через некоторое время мне перезвонил кадастровый инженер, который уже уехал далеко от Борцино и не собирался возвращаться. Зато он сообщил, что ему и заказывали только замер общих границ единого участка, без границ деления.
Впрочем, этот эпизод оказался полезным – я получил прямой контакт кадастрового инженера, а он увидел во мне требовательного заказчика производимого межевания и начал в будущем предоставлять по моим запросам информацию о межевании. Собственно, вся информация в будущем о межевании и оформлении участков и поступала ко мне на 85% от этого кадастрового инженера, еще на 10% я получал ее, внимательно отслеживая изменения на Публичной кадастровой карте, и хорошо, если еще 5% давали из администрации Конаковского муниципального округа.

8 октября 2024 года на основании поданных ООО «Горизонталь» данных было принято распоряжение администрации Конаковского муниципального округа, которое 10 октября 2024 года было согласовано распоряжением №5496 Государственного казенного учреждения Тверской области «Центр управления земельными ресурсами Тверской области».

25 октября 2024 года единый пока участок с кадастровым номером 69:15:0140301:592 встал на Государственный кадастровый учет.

Дальше огромная пауза. Как объяснила мне в двадцатых числах ноября 2024 года глава комитета по управлению имуществом и земельным отношениям администрации Конаковского муниципального округа Татьяна Веряскина, «исчерпался лимит на контракты» на год, поэтому надо ждать 2025 года. Спустя месяц, 19 декабря 2024 года, в ответ на очередной мой запрос она сообщила, что проект межевания участка непосредственно под участок с площадкой еще не утвержден главой округа, и только 25 декабря 2024 года прислала предварительную схему межевания.

Наступил Новый год, прошли каникулы все вышли на работу, однако процесс так и стоял на месте. Когда я уточнил 20 января 2025 года у кадастрового инженера, он сообщил, что проект межевания участка под площадку администрацией еще и не утвержден. Когда я написал об этом Веряскиной, она позвонила и сказала, что не надо вмешиваться, ориентируйтесь на присланную ранее предварительную схему межевания.

По мере приближения предварительного срока площадки, я письменно информировал Веряскину о размещении заказа площадки на производстве (27 марта 2025 года) и завершении производства площадки для установки в начале мая (26 апреля 2025 года). Синхронно с этим 24 апреля 2025 года (чтобы успеть до начала майских праздников) я уточнил у нее, к кому мне обратиться непосредственно по поводу установки площадки, она переадресовала меня к главе управления территориями Конаковского муниципального округа Наталье Борисовой. С новым человеком пришлось по новой договариваться о выезде для осмотра участка, она назначила сначала на 28 апреля, потом на 6 мая 2025 года. И накануне поездки, 5 мая 2025 года, мне звонит специалист комитета по управлению имуществом и земельным отношениям администрации Конаковского муниципального округа и сообщает, что документы на участок еще не готовы. Как сообщил мне позже кадастровый инженер, схема межевания участка под площадку была утверждена в администрации округа лишь 7 мая 2025 года, и 21 мая 2025 года участок встал на Государственный кадастровый учет.

Что происходило с оформлением участка с ноября 2024-го по апрель 2025-го, для меня загадка. То ли про него попросту забыли, то ли пытались оформить каким-то иным образом, о чем мне коротко упомянули позже в комитете по управлению имуществом и земельным отношениям администрации Конаковского муниципального округа. Но так или иначе сроки установки площадки – для которой я уже расчертил план (пригодились полученные в вузе навыки) – пришлось сдвигать.

Прямоугольниками обозначены качельные модули, а справа горка со скатом:

Тем более, что в администрации Конаковского муниципального округа достаточно долго утверждали договор дарения на площадку, присланный мной 4 июня 2025 года, хотя за его основу был взят полученный из администрации же аналогичный договор дарения 2023 года. Сначала до 20 июня 2025 года договор лежал в комитете по управлению имуществом и земельным отношениям, потом переместился в юридический отдел (где они нашли в подписанном в 2023 году договоре немало ошибок). Поскольку чиновники начали уходить от ответов, я начал звонить напрямую в юридический отдел и 7 июля мне повезло застать там заведующую отделом Юлию Боровикову, сообщившую мне, что договор ждет своей очереди в общем порядке, то есть рассмотрят его через две – три недели. Я попросил ускорить процесс, чтобы успеть летом поставить площадку. Вопрос был не столько в проходимости дороги (после визита главы округа в Борцино ее как следует подравняли в 2025 году грейдером), а в почве, на мокрую ставить было опасно.
Выравнивание участка и установка площадки
Среди рукописных замечаний заведующего юридическим отделом администрации Конаковского муниципального округа Юлии Боровиковой, пересланных мне 9 июля 2025 года начальником управления территорий администрации Натальей Борисовой, было и связанное с установкой площадки: «Детская площадка поставляется без закладных (металлических стаканов), монтаж якорей производится без бетонирования, что нарушает требования законодательства».

Казалось бы, проблема решалась очень просто. Достаточно запросить информационное письмо от производителя, IgraGrad установкой таких площадок занимается не первый год, так что все исчерпывающе объяснит. Я написал запрос менеджеру и уже 10 июля 2025 года получил от их коллег письмо-отписку на 1 страницу, в котором по поводу установки без бетонирования была приведена лишь короткая цитата из п. 4.3.33.4 ГОСТ 52169-2012 «Оборудование и покрытия детских игровых площадок. Безопасность конструкции и методы испытаний. Общие требования»: «Возможна бесфундаментная (анкерная) установка оборудования». И все. Однако, ГОСТ не упоминает, в каких случаях это возможно, тем самым оставляя это в компетенции местных чиновников.

Я объяснил менеджеру IgraGrad, что нам надо убедить чиновников в допустимости в данном случае установки площадки без бетонирования, а для этого письмо должно быть более подробным. И поехал в заранее забронированный на 13 – 16 июля 2025 года небольшой отпуск в Кострому, предполагая, что за несколько дней более детализированное письмо подготовят и, как только я его получу, перешлю в администрацию Конаковского муниципального округа.
По факту только после напоминания днем во вторник 15 июля 2025 года производитель снова прислал письмо-отписку. В принципе, это можно понять – в задачи менеджеров входят продажи, а не убеждение чиновников. К ним приходят именно за поставкой площадок, а все вопросы с участком решают собственники участка.

В итоге, мне лично пришлось изучать ситуацию, созваниваясь (причем находясь в отпуске в Костроме) сначала с менеджером, а затем и с начальником отдела продаж IgraGrad, объясняя, что просто ссылки на ГОСТ в информационном письме недостаточно. В ходе 40-минутного созвона (в два захода в течение часа – по 14 и 26 минут) мне удалось узнать, что IgraGrad ранее уже устанавливал такие площадки, но приводить примеры этого производитель не счел нужным. В итоге, спустя еще две версии ставшего уже 3-страничным информационного письма, каждое из которых я затем приводил в литературный вид, 22 июля 2025 года IgraGrad подробно описал пять примеров таких площадок, уже установленных в общественных местах без бетонирования (в том числе одна – в Тверской области) и принятых местными властями.

Информационное письмо с развернутой аргументацией (а также мое повторное обращение 4 августа 2025 года к главе администрации Конаковского муниципального округа Алексею Пляскину с просьбой ускорить процесс согласования) сумело убедить заведующего юридическим отделом Конаковского муниципального округа, и 19 августа 2025 года был подписан договор дарения с администрацией округа, для чего я приехал в Конаково (2 часа 40 минут от Москвы на электричке только в один конец).
А еще перед установкой было необходимо выровнять площадку. Я изучил все предложения подобного рода на Авито. (Этот маркетплейс играет в российской глубинке универсальную роль, здесь продают собранные в лесу ягоды и выращенную в деревне птицу и скотину, разные услуги, технику и земельные участки, сдают квартиры и отели, и т.д. Основное преимущество Авито, как я понял, отсутствие комиссии за размещение, потому что платить за что-то наши граждане не любят, предпочитая получать бесплатно. Этот момент еще всплывет в будущем при решении «мусорного вопроса» в Борцино.)
Самым оптимальным вариантом выглядела скарификация грунта, производимая мощной косилкой, которая, судя по отзывам на Ozon, не только косит траву, но и подрезает кочки и кротовины. Однако две местные компании, куда я загодя обратился 17 августа 2025 года, попросту не поняли, что я хочу, и сама идея удаления кочек и кротовин скарификатором их очень удивила.

Видимо, местные мастера никогда с подобным дела не имели и просто срезали скарификатором высокую траву на целине, либо подравнивали газоны на участках.

Я уже начал искать варианты со снятием грунта трактором, когда вспомнил, что местная жительница Татьяна упоминала наличие в деревне трактористов, да и я видел там проезжающие трактора.
В итоге, в деревне нашли тракториста, готового поработать на своей машине в выходные. И это оказалось очень хорошим решением, и особенно то, что предварительно решили попробовать снять грунт на другом участке. Выяснилось, что плотный целинный грунт на участке тонкий, а под ним находится суглинок, который сразу же превращается в грязь, на которой ставить ничего невозможно. Так что, в итоге, снова вернулись к идее скарификации, тем более, что у одного из местных жителей была мощная косилка, которой и прошлись 24 августа 2025 года по всему участку.
Я оперативно выехал в тот же день электричкой в Борцино проверить участок, ведь в случае оставшихся неровностей сборщики IgraGrad просто развернулись бы и уехали, а помимо того, что повторная доставка стоила бы 8 тыс руб, теплых дней оставалось мало, и мы могли просто не успеть поставить площадку до дождей. И лично убедился на месте (и глазами, и походив ногами) в том, что, хотя скарификатор не смог снять все неровности почвы, есть как минимум три больших (относительно) ровных участка со сторонами по два – три метра, где можно было ставить горку и качельные модули.
Кстати, в ходе этой поездки я заметил на площадке гуляющих откормленных гусей, которые будут там и в другой день во время монтажа. А благодаря вовремя вызванному такси успел на железнодорожную станцию Редкино до начала проливного дождя.

Вернувшись в Москву, я написал менеджеру IgraGrad и заказал доставку площадки на 28 августа 2025 года. Потом я уточнил у сборщиков, сколько займет времени монтаж, мне сказали, что от пяти до семи часов, поэтому надо начинать с утра. Примерно так и вышло – начав сборку в 10:30, завершили ее к 16:30, уложившись в шесть часов.
Сам монтаж площадки не вызвал проблем (сборщики не напугали даже традиционно пасущихся на лугу гусей), за исключением пары моментов.

Поскольку горка ставилась на грунт (квадратом из 4 балок размером по 1,2 м), неизбежно возникали проблемы с ровностью этого самого грунта, который идеально выровнять было невозможно даже скарификатором. То есть, нужно было подкапывать землю под балки, для чего нужна была лопата, которой у сборщиков не было, ведь выравнивание участка производитель целиком возлагает на принимающую сторону.

Поэтому я заранее купил саперную лопатку, а также заказал ее качественную заточку у мастера на точильном станке, потому что с завода она приходит тупой, и копать целинный грунт лопаткой с заводской заточкой попросту невозможно.

Был и более неприятный момент. Уже когда каркас двухэтажной горки был собран, неожиданно оказалось, что на прибиваемой сверху под крышей обвязке (горизонтальной доске), где должен был быть сверху полукруглый выпил для спуска к скалодрому, таких выпилов почему-то два. Наличие двух выпилов означало, что эту стенку невозможно, как планировалось, забить забором (вертикальными досками), потому что по длине доски забора были предназначены для крепления к обвязке без кругообразного выпила. В итоге под второй выпил перенесли скат, который вообще должен был крепиться с другой стороны горки, – к счастью, с той стороны было место, куда скатываться (а если бы нет? ведь горку уже было нельзя перенести из-за веса).

Попутно выяснилось, что в комплекте к горке идут пластиковые ручки для лестницы, хотя у лестницы деревянные перила, а пластиковые ручки идут к модели, где перил нет. Когда сборщики внимательно пересмотрели инструкцию к сборке, оказалось, что одни страницы там от горки старой модели, а другие – от новой. Видимо, и на производство поступила такая же инструкция. Добавлю еще, что примерно пять – шесть досок вообще было непонятно, куда крепить, и сборщики оставили их нам на случай ремонта горки.
Таким образом, даже если вы заказываете доставку и сборку от производителя (причем за немалые деньги), и даже если это давно работающая крупная компания, это отнюдь не значит, что можно расслабиться и целиком довериться им. Надо контролировать «на земле» каждый этап работ и быть готовым оперативно устранять возникающие проблемы (потому что в случае с непредусмотренным вторым выпилом на обвязке сборщики предложили альтернативный вариант – забрать площадку на рекламацию).

Но по итогу, площадку установили и на ней сразу же начали играть дети.
Отдельно опишу, как выглядят те самые якоря, на которые закреплены горка и качельные модули. Стальные якоря заглубляются в плотную землю, в которой предварительно с помощью ручного бура прорывается узкая глубокая ямка.

Разница лишь в том, что случае горки якоря затем крепятся двумя болтами к балкам.

А в случае качельного модуля якорь крепится за «ушко» одним болтом к балкам.
Спустя пару месяцев по нормативу положено проверять площадку и подтягивать болты, на нашей площадке мастера из той же бригады сборщиков сделали это 4 октября 2025 года. Поскольку подсыпанная земля под балкой с одной из сторон горки начала проседать, сборщики положили там под основание доски для устойчивости.

Также я заказал IgraGrad за 1500 руб установку еще 3 якорей на горке (ранее 3 были установлены 13 сентября 2025 года), как раз успели их установить (правда, после многочисленных напоминаний) 4 октября 2025 года до начала осенних дождей.

Кроме того, я заказал в IgraGrad за 600 руб поллитровую бутылку их фирменной краски цвета «Сосна» (в прайсе ее нет, но можно попробовать договориться) и передал ее жителям Борцино, чтобы можно было в дальнейшем подкрашивать нашу площадку.

Весной 2026 года надо будет еще проверить площадку, как она – и объекты из дерева, и земля под ними – пережили осенние дожди, зиму со снегом и весеннюю грязь.
Вывоз мусора и попытка установка контейнера
Во время подготовки участка для площадки я убедился, что рядом с ней у проезжей дороги в черте деревни массово сваливается бытовой мусор. Причем, надо сказать, мусора было очень много – под покрытыми лишайниками раскидистыми деревьями и огромными папоротниками (почти как в голливудских фильмах про Скалистые горы) тут и там валялись мотки кабеля, пустые стеклянные бутылки, железные банки из-под консервов, пластиковые банки из-под майонеза и плавленого сыра и т.д. и т.п. Складывалось сюрреалистическое ощущение, что мусор там растет, как грибы.

Судя по переписке на Авито с жителями садового некоммерческого товарищества (СНТ) «Московское море», непосредственно граничащего с Борцино, мусорные контейнеры жителям деревни действительно были нужны, так как мусора у них скапливалось много и они относили его в СНТ, так что там вынуждены были закрыть доступ. Отсюда и мое желание привести сбор мусора в Борцино в порядок, вследствие которого контейнеры фигурировали в обращениях к чиновникам начиная с 2024 года.

И ведь я недооценил масштабы сброса мусора. Уже когда 13 сентября 2025 года я начал сгребать все это малыми граблями, оказалось, что еще больше кабеля, банок и бутылок лежит под слежавшейся темной листвой, которую я сначала принял за землю. Кое-где под листвой были спрятаны целые полиэтиленовые пакеты с разбитыми стеклянными бутылками, осколки которых приходилось осторожно собирать руками (хорошо, что я заранее купил рабочие хлопчатобумажные перчатки с ПВХ-напылением).

По итогу 13 сентября 2025 года у дороги я с несколькими деревенскими активистами собрали 11 больших мешков мусора.

И это без учета ямы, находившейся как раз через дорогу от детской площадки, где валялись старые рваные матрасы и прочий крупный бытовой мусор. Копать в этой яме пришлось позже и клешней мусоровоза (пять или шесть заходов), и мне лично малыми граблями под деревьями, куда не доставала клешня мусоровоза (тоже около 5 мешков).
Но самая огромная свалка находилась за пределами деревни, на ничейной земле. Целые горы мусора, причем, опять же, я недооценил их объем, потому что их выбрасывали не просто на землю, а в вырытые ямы. Каждая такая гора мусора была как айсберг, у которого невидимая часть в разы больше находящейся над поверхностью.
Тут уже были целые разобранные старые дома, мебель и матрасы, спиленные плодовые деревья с приусадебных участков.
Полное видео, где можно полностью посмотреть путь от детской площадки до стихийной свалки за окраиной деревни, можно посмотреть здесь.

И рядом – снова горы бытового мусора.

Общий объем мусора, сваленного за околицей деревни, владельцы двух компаний по вывозу мусора единодушно оценили минимум в 100 кубических метров (кубометров). Для понимания – стандартный пластиковый контейнер на колесиках и с крышкой вмещает 0,8 – 1,1 кубометра, большой стальной контейнер с открытым верхом – 8 кубометров. Стандартный самосвал на базе КамАЗ – 10 кубометров. Самый большой мусоровоз на базе КамАЗа с крано-манипулярной установкой на крыше для захвата мусора – 25 кубометров.
Кстати, про мусоровозы. Оказалось, что на весь Конаковский муниципальный округ площадью 2115 квадратных километров у частников есть всего 2 мусоровоза емкостью 25 кубометров – один в деревни Отроковичи примерно в часе езды от Борцино, а другой непосредственно в Конаково. Причем из Конаково подавать мусоровоз отказались из-за большого расстояния (нужно делать огромный «крюк» из-за того, что муниципальный округ делится пополам течением Волги, и из-за специфического расположения мостов и автомобильных трасс), зато дали контакт владельца другого такого же мусоровоза в Твери, который приехать согласился.
Причем, из Твери, несмотря на гораздо большее (в 2 – 3 раза) расстояние, заказать мусоровоз оказалось даже дешевле, чем из Отроковичей. Если в последнем случае владелец сразу назвал цену в 35 тыс руб, то тверич, как более современный человек, обозначил градацию – 35 тыс при безналичной оплате и 30 тыс при оплате наличными.
Дальше проявились уже другие характерные черты работы местных компаний. Днем 12 сентября я забронировал на завтра оба больших мусоровоза, и уже вечером 12 сентября владелец одного из них, который в Отроковичах, написал, что машина сломалась и завтра не приедет. Мусоровоз из Твери 13 сентября приехал, «всего лишь» опоздав на полтора с лишним часа, – в начале второго вместо назначенных 11:30, причем сообщили они об этом только в 11:20, когда я уже подъезжал к Борцино на такси. Впрочем, праздно ожидать прибытия мусоровоза не пришлось – все полтора часа ушли на сбор мусора у дороги в пределах деревни вместе с живущей в деревне активисткой Еленой.
Кстати, увидев приехавший мусоровоз на базе КамАЗа, я понял причины их частых поломок и опозданий. Машина была очень старая, почти полностью «убитая», внутри кабины напоминавшая брошенные трактора, когда-то стоявшие у дорог в советских колхозах. Водитель, который также залезал на верх мусоровоза и оттуда из маленькой башенки управлял огромным краном-манипулятором с клешней, уже после одного рейса был с ног до головы измазан в машинном масле, так все везде протекало.
Вообще, работа большого мусоровоза походит на прибытие филиала ада. И дело не в запахе мусора, который как раз не очень сильно ощущается, а в работе работающего с оглушающим шумом разгоряченного двигателя, который обдает на несколько метров вокруг горячим паром, словно паровоз XIX века.
Прибыл мусоровоз около 13:20, а отбыл полным в 14:50. Загрузка его под «завязку» заняла примерно полтора часа. Я уточнил, через какое время ждать их обратно. Водитель посмотрел по навигатору и сказал, что даже по платной дороге до полигона в один конец ехать 1 час 10 минут, то есть туда и обратно 2 часа 20 минут, а еще время на разгрузку мусора. То есть всего около 3 часов. Примерно к 18:00 мусоровоз и вернулся в Борцино под вторую загрузку. На этот раз загрузились быстрее, но только потому, что примерно треть мусоровоза заполнили уже собранными большими пакетами с мусором.
Сумерки спустились в 18:56, и темнело быстро – в 19:05 в сгущавшейся темноте я сгребал малыми граблями в мешок последние остатки мусора в яме рядом с детской площадкой, а в 19:22 деревня уже погрузилась в кромешную тьму и я не мог разглядеть номер такси, пока оно не подъехало вплотную с включенными фарами. С учетом поездки по ночной дороги я как раз успел на железнодорожную станцию в поселке Редкино на ближайший поезд в Москву в 20:26.

Поездка 13 сентября 2025 года в Борцино оказалось самой продолжительной по времени – сел я на Ленинградском вокзале на уходящий поезд в 09:27, а вернулся обратным в 22:30. К этому моменту практически все заведения общественного питания, кроме KFC и пары подобных сетевых фастфудов, рядом с вокзалом уже готовились к закрытию. К тому же, поскольку в Москве праздновался День города, усиленно «глушили» мобильный интернет, так что заказать такси к Ленинградскому вокзалу, вокруг которого уже год все тротуары перекопаны и недоступны для парковки, было нелегко, особенно с учетом припаркованных повсюду автомашин Росгвардии с мигалками.
По итогу этого дня стало ясно, что свалку за пределами деревни невозможно будет ликвидировать даже за 2 дня работы 1 мусоровоза емкостью 25 кубометров (второй мусоровоз из Отроковичей так и не починили, я уточнял днем 13 сентября 2025 года). За второй день в лучшем случае удалось бы вывести 3 машины, то есть 75 кубометров мусора, и собрать в мешки оставшийся после зачерпывания клешней мусоровоза мусор.
Но главное, ликвидировать стихийную свалку без оборудования легальной бесполезно, так как люди все равно будут вывозить мусор. А в ходе нескольких созвонов с главой Конаковского отделения Тверского регионального оператора по вывозу мусора и обращению с твердыми коммунальными отходами ООО «ТверьСпецАвтоХозяйство» (ООО «ТСАХ») Вячеславом Мироновым, имевших место между 28 августа и 13 сентября 2025 года, стало ясно, что, во-первых, ему не подходит предложенный мною бюджетный вариант установки композитного шкафа для контейнера (потому что его опыт установки шкафов для контейнеров показывает, что они подходят для городов, но не для деревень – в деревнях бросают мусор не в шкаф, а вокруг него), а оборудовать полноценную мусорную площадку и согласовывать ее размещение я был не готов; во-вторых, в Борцино не открыто ни одного лицевого счета на вывоз мусора, то есть вывозить его никто не будет даже в случае оборудования контейнерной площадки. Второе было более существенно, тем более в ходе общения живущих летом в Борцино москвичей с местными жителями стало ясно, что последние не хотят платить за вывоз мусора и вообще считают, что выбросить мусор за околицу это нечто в порядке вещей.

В завершение работ 22 сентября 2025 года я съездил в Конаково для подписания акта о передаче площадки администрации муниципального округа. Здесь было не лучше, а даже хуже чем в Москве в праздничные дни, так как здесь мобильный Интернет глушили постоянно (что с мая 2025-го происходит везде в крупных городах России) и поэтому на железнодорожной станции не работали автоматы по продаже билетов, и даже в какой-то момент у кассира перестала проходить оплата по картам. К единственной кассе выстроилась огромная очередь в несколько десятков человек, при том, что до отправления поезда оставалось каких-то 10-20 минут. Покупать же электронные билеты в сервисах вроде Tutu.ru или Яндекс.Электрички было бесполезно, так как из-за отсутствия мобильного интернета открыть приложения было невозможно.
Выводы
Анализируя проведенную работу и в том числе причины почему она затянулась на полтора года можно выделить следующие моменты.
Как отметила в беседе с Владом глава Городенского сельского поселения (до 2024 года) Екатерина Корнева, если мы бы обратились с такой просьбой в 2023 году, вопрос можно было быстро решить на уровне сельского поселения, где часто согласовывали установку некапитальных объектов без изменения вида разрешенного использования земельного участка. Однако в марте 2024-го в ходе муниципальной реформы полномочия у сельского поселения уже отобрали, а в Конаковский муниципальный округ они еще не перешли. Когда же полномочия перешли в округ, там настояли на межевании земельного участка, так как он не имел ни границ, ни юридического статуса.
В Конаково, находящемся далеко от Борцино на другом берегу Волги ситуацию в затерянной в лесах деревне в конце тупиковой дороги представляли достаточно плохо. В том числе потому, что, как объяснил Владу в марте 2024 года глава Думы Конаковского муниципального округа Дмитрий Щурин, в Борцино мало постоянных жителей, которые голосуют на местных выборах – из 100 жителей деревни лишь 10-15 местных, а остальные жители других регионов, которые приезжают на дачи. Характерно и то, что когда в сентябре 2025-го Влад звонил главе Конаковского отделения Тверского регионального оператора по вывозу мусора и обращению с твердыми коммунальными отходами ООО «ТСАХ» Вячеславу Миронову, тот ошибся в определении территориальной подчиненности Борцино, отнеся ее не к Городне, а к Редкино.
По неофициальной информации из Конаково, приход нового требовательного главы был по-разному воспринят сотрудниками администрации так что на протяжении весны – лета 2024 года многие сотрудники уволились, что замедляло работу исполнительной власти.
Отдельно можно отметить неизбежный бюрократический «футбол», с которым мы столкнулись в 2024 году, когда клерки администрации Конаковского муниципального округа просто бесконечно пересылали нас из одной инстанции в другую и обратно. Да и благоустройство далекой и малонаселенной деревни вряд ли сильно их интересовало. Для решения этого вопроса потребовалось вмешательство высоких инстанций – Государственной Думы и администрации губернатора Тверской области.
Приходилось и постоянно напоминать исполнителям о лежащих у них документах по оформлению нашего участка, встречая часто и раздраженные ответы. Здесь потребовалось огромное непоколебимое намерение Влада, чтобы неделями «сидеть на телефоне», бомбардируя чиновников сообщениями в мессенджерах и звонками. И, конечно, ездить в электричках согласовывать межевание участка и проверять работу на месте в Борцино (16 августа и 6 сентября 2024 года, 21 мая, 24 и 28 августа и 13 сентября 2025 года) и Конаково (19 августа и 22 сентября 2025 года), трясясь в старых такси по разбитой дороге по пути в деревню от железнодорожной станции, часто уезжая из Москвы ранним утром и возвращаясь поздним вечером.
Полтора года, несколько миллионов рублей, титаническая работа Влада и проект сдан! Конечно же, это очень радостно, но теперь нужно время, чтобы переосмыслить сделанное, посмотреть, как площадка будет выглядеть после снежной зимы и весенней грязи и принять решение о будущих проектах в аналогичном направлении.